Avis d’information-4156-2025-92-Puteaux
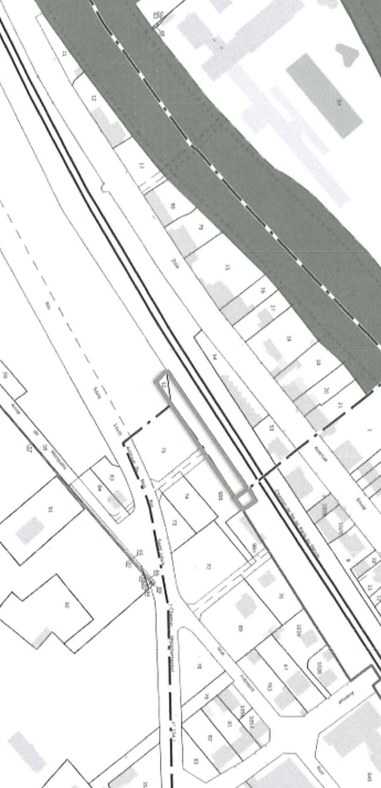
Avis d'information sur l'attribution d'une convention d'occupation temporaire domaniale par SNCF RESEAU sans procédure de sélection préalable portant sur un bien immobilier d'une superficie d’environ 1986 m² de terrain nu constitué d’une dalle, situé 19 10 rue Michel Ange à PUTEAUX (92800) et repris au cadastre de la commune de Puteaux (INSEE : 92062) sous le n°131p de la Section 0A.




